- 価格
- 750万円
- 売地
- 坪単価
- 10万円
|
|
| 所在地 | 山梨県山梨市下井尻 下井尻8区画分譲地 |
|---|---|
| 交通 | JR中央本線東山梨駅 徒歩1200m 徒歩15分 西関東道路八幡IC2.4km(車5分) |
| 駐車場 | 取引態様 | 売主 | |
|---|---|---|---|
| 引渡/入居時期 | 相談 2025/4 上旬 | 現況 | 更地 |
| 地目 | 畑 | 用途地域 | 無指定 |
| 都市計画 | 非線引き区域 | 地勢 | 平坦 |
| 土地面積 | 249m² | 土地面積計測方式 | |
| 建ぺい率 | 70% | 容積率 | 200% |
| 土地権利 | 所有権 | 接道状況 | 一方 |
| 接道方向1 | 西 | 接道間口1 | 7.5m |
| 接道種別1 | 公道 | 接道幅員1 | 6m |
| 位置指定道路1 | |||
| 周辺環境 |
日下部小学校1.2km 山梨北中学校1.4km |
||
| 設備・条件 | 建築条件無 プロパンガス 公営水道 排水下水 ■2025年4月造成工事完了。地籍・地番・金額確定。■水道加入金等112,500円別途。■下水道負担金㎡・330円別途。 | ||
| 物件番号 | |||
| 自社物 | 自社物 | 状態 | 売出中 |
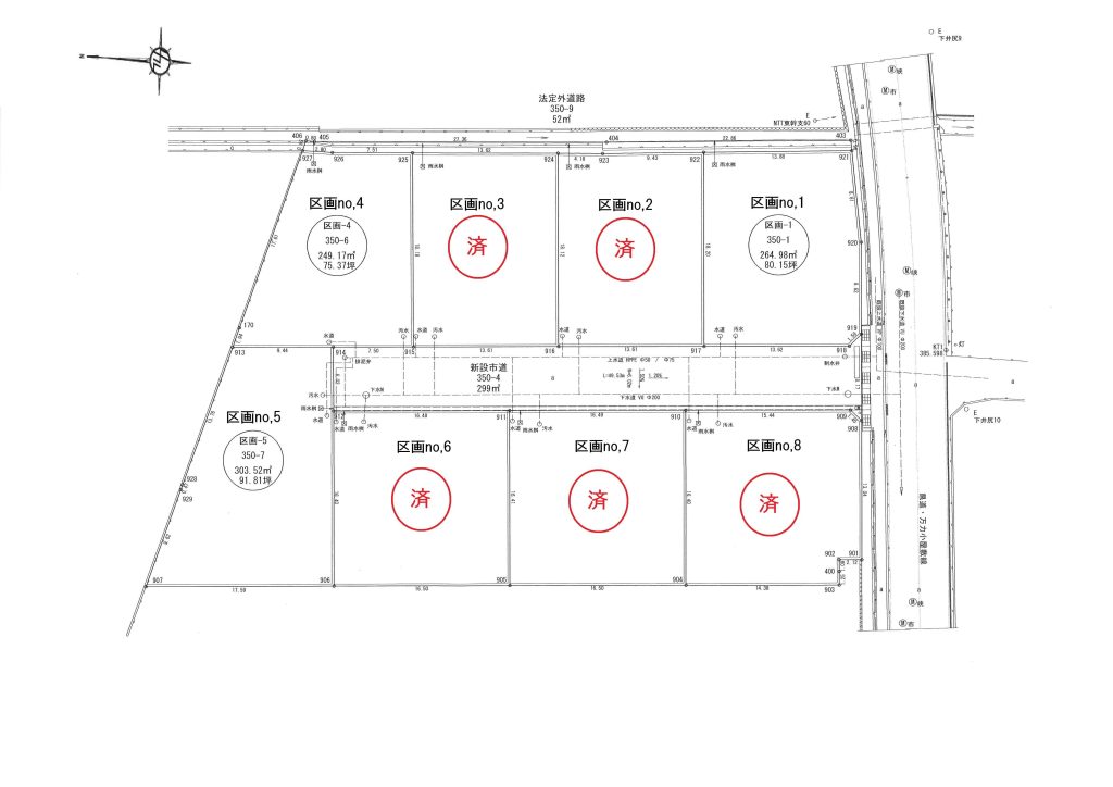
山梨市下井尻の表通り沿いの8区画分譲地(googlemap)です。
全ての区画で6m道路への接道あり。
富士山が電柱の向こう側に見える分譲地です。
水道加入金検査費用等112,500円別途。
下水道負担金㎡・330円別途。
契約後速やかに建物建築必要。上棟後地目変更、残金決済所有権移転。
※区画no,2/3/6/7/8済
Loading...
※物件掲載内容と現況に相違がある場合は現況を優先と致します。













