【お知らせ】
- 上神内川5区画分譲地【no,3申し込み】
- 上神内川5区画分譲地の区画no,3にお申し込みをいただきました。区画no,3は商談中となります。[2025-09-24] more・・
- 下神内川2区画分譲地【no,1申し込み】
- 下神内川分譲地の区画no,1もお申し込みをいただきました。区画no,1は商談中となります。[2025-09-02] more・・
- 下神内川2区画分譲地【no,2申し込み】
- 下神内川2区画分譲地の区画no,2へお申込みいただきました。区画no,2は商談中となりますのでご了承ください。区画no,1はご案内できますので、ご検討よろしくお願いいたします。[2025-08-30] more・・
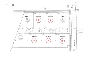
【弊社売主土地情報】
山梨市駅徒歩5分の5区画分譲地です。
72坪から83坪の広さで、1584万円~1826万円となります。
西関東道路の万力ICまでも車で4分と便利な立地です。
・水道加入金・検査費用等112,500円別途。下水道負担金㎡・330円別途。
・区画no,1・2・4・5済み
※区画no,3商談中

山梨市内や塩山方面へ行きやすい立地の8区画分譲地です。
74坪から91坪の広さで、750万円~910万円となります。
西関東道路の八幡ICまでも車で5分と便利な立地です。
・水道加入金・検査費用等112,500円別途。下水道負担金㎡・330円別途。
・区画no,1/5に電柱敷設予定。
※区画no,2/6/7/8契約済

山梨市駅南口徒歩10分の好立地。
64坪と70坪の2区画です。
加納岩小学校、山梨高校共に10分と文教地区です。
・水道加入金・検査費用等112,500円別途。下水道負担金㎡・330円別途。
・造成工事完了。地番地籍金額確定。
※区画no,1/2商談中
【売土地情報】
小原西売地【宅地:91坪】
1,274万円 301.06m²
山梨市小原西
JR中央本線山梨市駅下神内川中古【土地138坪・建物延べ49坪】
828万円 8DK
山梨市下神内川
JR中央本線山梨市駅北売地【畑:357坪】
1,071万円 1183m²
山梨市北
JR中央本線東山梨駅下井尻8区画分譲地【残4区画】
750万円 249m²
山梨市下井尻
JR中央本線東山梨駅勝沼町売地【宅地:76坪】
800万円 251.79m²
甲州市勝沼町小佐手
JR中央本線勝沼ぶどう郷駅- up
小原東売地【宅地:160坪】
1,600万円 529.29m²
山梨市小原東
JR中央本線東山梨駅 春日居町鎮目売地【畑:609坪】
1,000万円 2016m²
笛吹市春日居町鎮目
JR中央本線春日居町駅- up
上神内川5区画分譲地
1,716万円 259.09m²
山梨市上神内川
JR中央本線山梨市駅 三ケ所売地【宅地:34.47坪】
200万円 113.96m²
山梨市三ケ所
JR中央本線東山梨駅- up
下神内川2区画分譲地
704万円 213m²
山梨市下神内川
JR中央本線山梨市駅 山梨市北売地【畑:333坪】
666万円 1104m²
山梨市北
JR中央本線東山梨駅甲府市朝日五丁目売地【宅地:79.14坪】
1,978万5,000円 261.62m²
甲府市朝日五丁目
JR中央本線甲府駅
【賃貸情報】アパート・戸建・貸店舗・貸工場など
- up
万力中川住宅【戸建・3DK】
3.5万円 3DK
山梨市万力
JR中央本線山梨市駅 佐藤貸作業所・工場
27.5万円
甲州市勝沼町綿塚
JR中央本線山梨市駅- up
コスモスハイツ【102号室:2DK】
4万円 2DK
山梨市小原西
JR中央本線山梨市駅 - up
ハイツ・サルビア【1LDK:301号室】
5.2万円 1LDK
山梨市小原西
JR中央本線山梨市駅 - up
サンリバーハイツ【202号室:2LDK】
5.5万円 2LDK
山梨市一町田中
JR中央本線山梨市駅 - up
ガーデンハイツ【102:1LDK】
4.8万円 1LDK
山梨市一町田中
JR中央本線山梨市駅 TIビル1階北側【店舗・事務所】
14.3万円
山梨市上神内川
JR中央本線山梨市駅田形貸教室・貸事務所
5万円 2R
山梨市正徳寺
JR中央本線山梨市駅- up
宮下住宅:二世帯可能戸建【土地34坪:建物延べ23坪】
6.2万円 3SDK
山梨市正徳寺
JR中央本線春日居町駅